【新たな産業団地を造成しています】安全祈願祭が執り行われました
更新日:2025年11月26日
鶴岡市では、産業振興と魅力ある雇用の場を創出するために、鶴岡西工業団地の隣接地に新たな産業団地の開発を行い、企業誘致を進めていきます。
現在、令和9年度からの分譲開始を目指して整備を進めており、進捗状況については、今後も引き続き市ホームページや広報等を通じて周知していきます。

整備予定地(赤枠内)
工事の進捗状況はこちらから(鶴岡市開発公社ホームページ・現在準備中)
安全祈願祭が執り行われました
令和7年11月25日(火曜)に、施工・関係企業や地元自治会など関係者が参列し、造成工事の安全を祈願しました。
造成工事が始まりました
【工事請負業者】
発注者:一般財団法人鶴岡市開発公社
受注者:佐藤工務・鶴岡建設・佐藤組・有賀建設特定建設工事共同企業体
(代表者:株式会社佐藤工務)
業務内容:盛土、道路、公園、調整池工事など
令和7年10月から、産業団地計画地周辺において、盛土材搬入や盛土工事のための 工事車両の通行量増加が見込まれております。
近隣にお住まいの方をはじめ、市民の皆様にご不便やご迷惑をおかけしますが、 安全を最優先に進めて参りますので、ご理解とご協力をお願いいたします。
(令和7年10月7日更新)
主な事業スケジュール(予定)
<令和5年度>
農村産業法に基づく産業導入実施計画の変更(鶴岡西拡張区域の追加)
<令和6年度>
用地取得
開発協議
実施設計
第一次事前エントリー
<令和7年度>
開発許可
造成工事(盛土、道路、調整池)
<令和8年度>
造成工事(道路、公園、調整池、上下水道)
<令和9年度>
造成工事(道路、公園、調整池、上下水道)
確定測量
分譲開始
事業予定地
鶴岡市覚岸寺、荒井京田、本田、大宝寺の一部 約15ヘクタール
事前エントリー
【第一次エントリーは終了しました】
正式募集、また分譲単価や立地に伴う助成制度、分譲要領等の詳細については、今後ホームページ等で随時公表していきます。
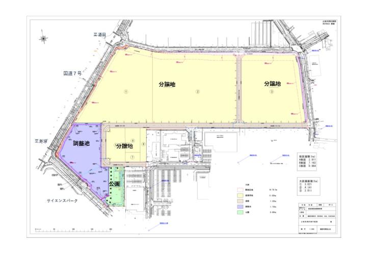
分譲予定図

周辺への雨水排水対策
産業団地の雨水排水については、大雨時には調整池で貯留した後、京田幹線排水路を経由し大山川に排出する予定です。
地質データ
ハザードマップ
次の鶴岡市ホームページ内のリンクから確認することができます。
新産業団地パンフレット
PDF形式のファイルを開くには、Adobe Reader(旧Adobe Acrobat Reader)が必要です。
お持ちでない方は、Adobe社から無償でダウンロードできます。
Adobe Readerのダウンロードページへ
お問合わせ
メールでの回答が必要な場合は、住所・氏名・電話番号を明記してください。
鶴岡市役所 商工課
〒997-8601 山形県鶴岡市馬場町9番25号
電話:0235-35-1299
FAX:0235-25-7111















